Ученые создали 3D карту самого загадочного вулкана нашей планеты – вулкана «Таму»

Дата публикации: 24 ноября 2015 г.

Ученые создали 3D карту самого загадочного вулкана нашей планеты – вулкана «Таму»

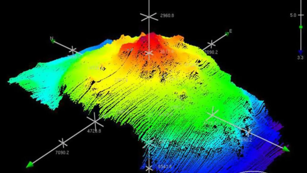
Ученые, которые 36 дней назад отправились в экспедицию в Тихом океане для изучения самого интересного и загадочного вулкана нашей планеты «Таму», наконец-то представили миру первую 3D карту этого гиганта. Экспедиция была не простой, так как тихоокеанским акулам на вкус понравилась исследовательская техника. Несмотря на сложности и задержки, ученые выполнили свою миссию.

Массивный вулкан «Таму» размещен в 1,6 тыс. км в восточном направлении от Японии. Его размеры приравниваются к 450Х650 км. Пиковая точка «Таму» размещена на глубине около 2 тыс. м. Она в пятьдесят раз превосходит по размеру самый массивный активный вулкан Земли, которым считается гавайский «Мауна-Лоа».

Ученые сумели не только опустить к «Таму» исследовательское оборудование и изучить местность возле него, но и составить современную 3D карту, которая в дальнейшем поможет определить историю этого гиганта-вулкана. Некоторые из экспедиции (к примеру, У. Сейджер — геолог) считают, что западная часть «Таму» является отдельной самостоятельной возвышенностью. Кроме этого, экспедиторы заметили, что «Таму» буквально усеян кратерами и разнотипными уступами.

На сегодняшний день уже удалось выяснить, что «Таму» формировался сравнительно быстро. Процесс его рождения начался приблизительно 140 млн. лет назад. Часть гиганта-вулкана имеет «магнитные полоски», что говорит о равномерном вытекании лавы, которая, к тому же, меняла направление одновременно с магнитным полем нашей планеты.

Источник: www.gismeteo.ru
Оставить комментарий
Ваш комментарий
Чтобы оставить комментарий, войдите или зарегистрируйтесь.